Emmanuel Profile picture
Sep 2 4 tweets 2 min read Read on X
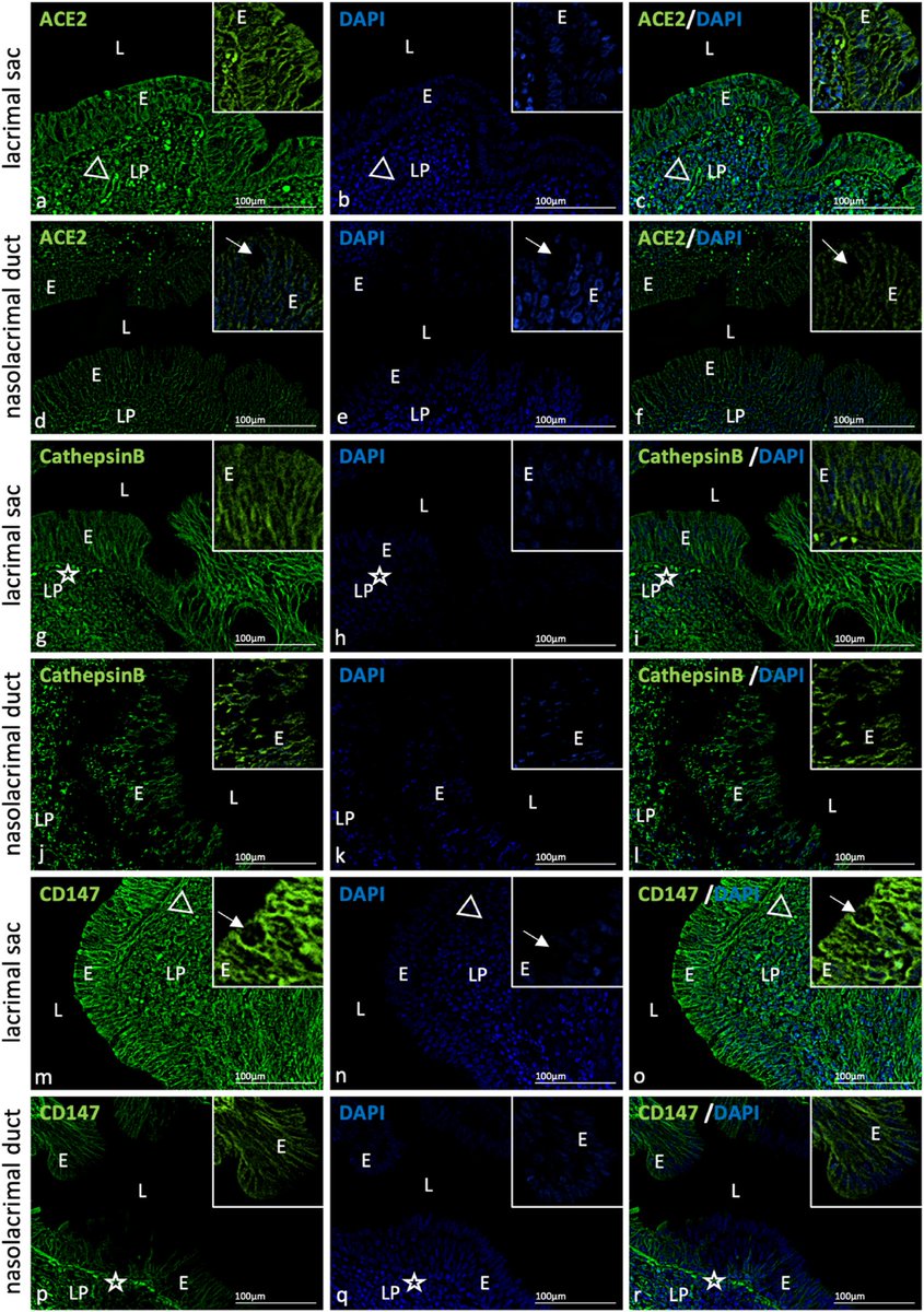
WE CRY TEARS of SARS-COV-2 ! 😪

Presence of SARS-CoV-2 binding receptors in the human lacrimal drainage system (LDS), as well as the mucosal surface area of this system.
sciencedirect.com/science/articl…
Image
2) The study found that the tear drainage system in the eye contains the receptors and enzymes that allow SARS-CoV-2 to enter the body. This system, called the lacrimal drainage system (LDS), has a large surface area and the virus can stay in it for several minutes ... Image
3) ...as tears flow through. The researchers detected the key COVID-19 entry points, like the ACE2 receptor, in the cells lining the LDS. They also measured the total surface area of this system, which is about a third the size of the entire eye surface. Image
4) This suggests the LDS could be an important pathway for the virus to reach the nose and lungs, in addition to being relevant for administering eye medications. Further study is needed to fully understand the role of the LDS in COVID-19 transmission.

Thanks for reading 🙏 Image

• • •

Missing some Tweet in this thread? You can try to force a refresh
 

Keep Current with Emmanuel

Emmanuel Profile picture

Stay in touch and get notified when new unrolls are available from this author!

Read all threads

This Thread may be Removed Anytime!

PDF

Twitter may remove this content at anytime! Save it as PDF for later use!

Try unrolling a thread yourself!

how to unroll video
  1. Follow @ThreadReaderApp to mention us!

  2. From a Twitter thread mention us with a keyword "unroll"
@threadreaderapp unroll

Practice here first or read more on our help page!

More from @ejustin46

Sep 4
Does the IMMUNE SYSTEM CAN quickly ACTIVATE certain T CELLS that were already ready to fight the virus ? (François BALLOUX)
or
Does the SARS-COV-2 has DEVELOPED ways to BLOCK or WEAKEN the function of T CELLS ? (Alexander B. SIGALOV)
2) The first study (F. Balloux)

investigates the rapid response of T cells to SARS-CoV-2 infection, revealing that many T cell receptors (TCRs) specific to the virus were already present in high levels before infection. cell.com/iscience/fullt…
Image
3) This suggests that the immune system can quickly mobilize pathogen-specific T cells without prior exposure to similar viruses. A similar pattern was observed in mice infected with another virus, LCMV, indicating a general mechanism for rapid immune activation. Image
Read 6 tweets
Sep 3
We CANNOT HAVE a SIMPLISTIC VIEW of the COVID-19 PANDEMIC, as just a series of WAVES !
medrxiv.org/content/10.110…
Image
2) This study is very interesting. They showed that the approach of attributing each new COVID-19 wave solely to the emergence of a new variant is overly simplistic for a few key reasons:

- Multifactorial Drivers: They shows that the spatial and temporal patterns of COVID-19 ... Image
3) ...in Toronto were influenced by a complex interplay of factors, including socioeconomic status, demographics, and cultural practices. Reducing waves to just new variants ignores these other important drivers. Image
Read 8 tweets
Sep 2
A COMPREHENSIVE, UP-TO-DATE REVIEW of the current UNDERSTANDING and MANAGEMENT of LONG COVID

A great review 💯👍
academic.oup.com/ofid/article/1…
Image
2) This review provides an evidence-based overview of "long COVID" or post-acute sequelae of COVID-19 (PASC). It traces how understanding of this condition has evolved, from initial surprise to recognizing it as common after many infections.
3) Potential drivers of long COVID include ongoing immune issues, remnants of the virus, gut microbiome disturbances, blood vessel and nerve problems, and mitochondrial dysfunction. Estimating incidence is challenging due to varying definitions. Image
Read 6 tweets
Sep 2
The INFLUENCE of SARS-CoV-2 INFECTION on the DEVELOPMENT of SELECTED NEUROLOGICAL DISEASES

The review explores how SARS-CoV-2 infection can impact the development of multiple sclerosis, ischemic stroke, and Alzheimer's disease.
mdpi.com/1422-0067/25/1…
Image
2) The virus can trigger harmful immune responses that damage nerve cells and blood vessels, contributing to the onset or worsening of these neurological conditions. Image
3) For example, SARS-CoV-2 increases inflammation and autoimmune reactions that destroy the protective myelin sheaths in multiple sclerosis. It also leads to blood clots that block blood flow to the brain, causing ischemic strokes. Image
Read 4 tweets
Sep 2
An UNEXPECTED IgE ANTI-RECEPTOR BINDING DOMAIN RESPONSE following natural infection and different types of SARS-CoV-2 vaccines

nature.com/articles/s4159…
Image
2) This study investigated the presence of IgE antibodies, which are typically linked to allergies, in people who had COVID-19 infection or received different COVID-19 vaccines. Image
3) The key findings are:
- Natural COVID-19 infection triggered IgE antibodies, but vaccination further increased their levels.
- Vaccines using the viral vector (ChAdOx1) led to higher IgE levels compared to the inactivated vaccine (CoronaVac), but ... Image
Read 6 tweets
Sep 2
Is SARS-CoV-2 a WATERBORNE VIRUS ?
Which pathogens are DETECTED in urban groundwater aquifer ?

sciencedirect.com/science/articl…
Image
2) This study investigated the presence of various viruses, including harmful human pathogens, in an urban groundwater aquifer. By using passive sampling devices and advanced genetic sequencing, the researchers were able to detect a wide range of viruses ... Image
3) ...from those that infect humans (like SARS-CoV-2, which causes COVID-19) to those that infect animals, insects, and even plants.

The key findings showed that human waste was a major source of contamination, with nearly half the groundwater samples containing viruses ... Image
Read 6 tweets

Did Thread Reader help you today?

Support us! We are indie developers!


This site is made by just two indie developers on a laptop doing marketing, support and development! Read more about the story.

Become a Premium Member ($3/month or $30/year) and get exclusive features!

Become Premium

Don't want to be a Premium member but still want to support us?

Make a small donation by buying us coffee ($5) or help with server cost ($10)

Donate via Paypal

Or Donate anonymously using crypto!

Ethereum

0xfe58350B80634f60Fa6Dc149a72b4DFbc17D341E copy

Bitcoin

3ATGMxNzCUFzxpMCHL5sWSt4DVtS8UqXpi copy

Thank you for your support!

Follow Us!

:(