Markets by Zerodha Profile picture
Oct 14 22 tweets 5 min read Read on X
Today, ~80% of India's organised tea estates fell into cash losses, and premium Assam teas have crashed 27%. But one question looms large—how is a country that swears by chai hurting so badly in tea production?

Let's find out. 🧵👇
Hemant Bangur, chairman of the Indian Tea Association, warned that "only a handful of estates will achieve positive EBITDA, thus eroding the industry's financial foundations further." Tea prices have crashed from ₹304/kg to ₹221/kg. The ITA is calling for a minimum support price.Source: Tata Consumer Q1 FY26 transcript
This isn't just about oversupply. Supply shocks are squeezing revenues while demand-side shocks are increasing costs—a double whammy for profitability in the world's second-largest tea producing country. And this has been happening for the last few years.
The most significant supply shock is climate change. Tea has thrived on predictable weather—summer heat that isn't piping hot, and consistent rains distributed evenly over time. But climate volatility has thrown a wrench into the entire supply chain.
This year, rains in Assam—India's leading tea state—fell 38% below the monsoon average. This crunched the harvest during May-June, generally considered the best season. When rain comes suddenly, the resulting crop floods the market all at once.
This volatility has introduced severe price swings. In 2024, a drought-induced output drop drove prices up by ~18%. However, as production rebounded suddenly this year, prices crashed by at least ₹30 per kilogram in many cities.
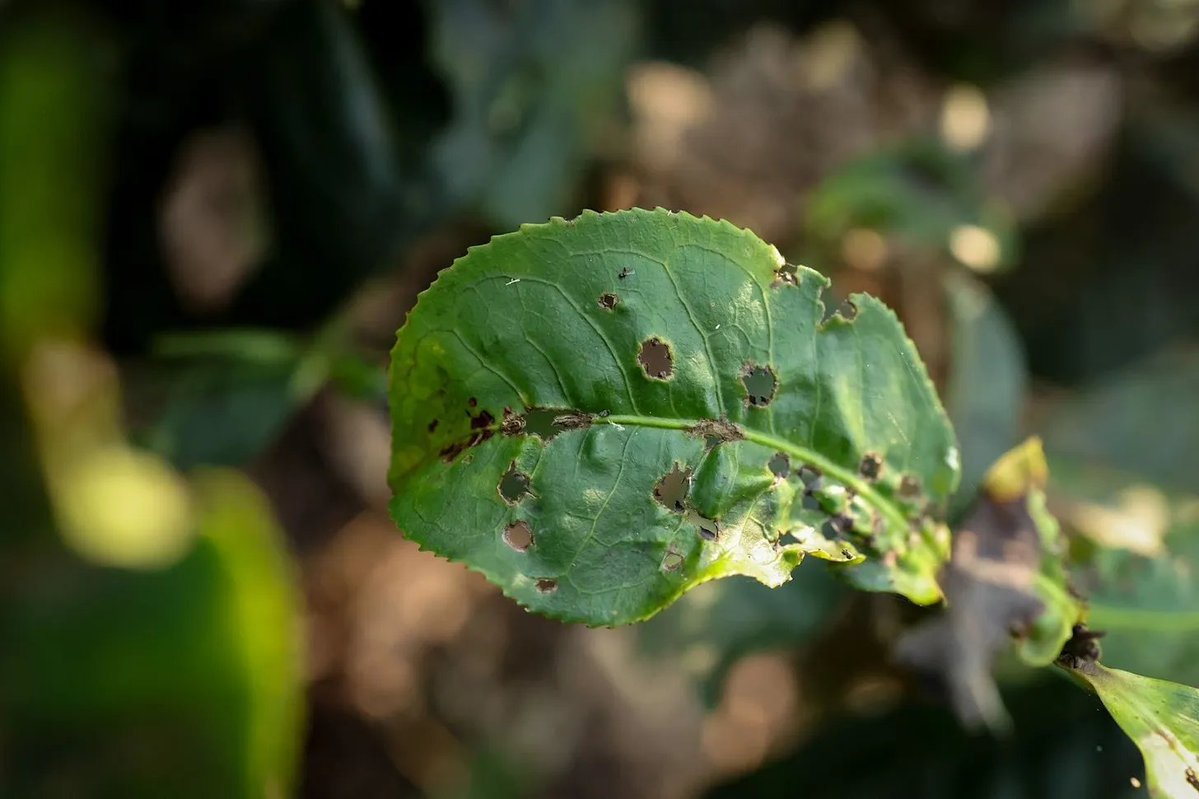
Erratic weather is also destroying quality. When temperatures spike or rains fail during critical growth periods, stressed bushes produce inferior leaves. Pest and fungal attacks have surged with weather extremes—planters report leaves riddled with holes and discolored. Image
The second supply shock is related to exports. India typically exports 16-18% of its tea—a whopping ~258 million kg in FY25. But various kinds of geopolitical risks are showing up unattended to India's tea party.
Take Iran, our second-largest tea buyer. The Iran-Israel conflict forced shipments to halt, with consignments stranded midway. Indian exporters are now unwilling to sell to Iran as they're unsure of receiving payments. Buyers in the Middle East are pulling back too.
US sanctions on both Iran and Russia—India's largest tea buyer—make exports even more unpredictable. And there's a 25% US tariff on Indian tea from the Trump era. In 2023, India's tea exports fell 1.4%, with average prices down 3.5%. Image
But there's another dimension: a global tea glut. Both Kenya and Sri Lanka have reported strong output this year while producing at lower costs than us. But like us, they're also unable to find international buyers. So they're dumping excess output in India.
Kenyan tea is priced at ~₹155/kg, far cheaper than Indian auction prices of ₹250/kg. With a 288% jump in imports, India has become Kenya's largest importer. Some blenders use it to reduce costs, or even re-export it as "Indian" tea, undermining both prices and quality reputation.
The third supply shock is structural: small tea growers (STGs) now dominate the industry—making up 54% of production. This is a vast change from just a decade ago, when their share was just 36%.
The change wasn't entirely unpredictable. Earlier, tea required strict permissions from the Tea Board. Large estates could bear certification costs, but not small farmers. However, deregulation fully suspended all permissions in 2021, allowing marginal farmers to grow tea freely.
This was a double-edged sword. While it dramatically expanded production, it brought in many unorganized, unregistered players. STGs don't face high labor costs or regulations like larger estates. They produce tea at ₹50-70 per kg less cost and can profit where big estates lose money.
Quality is also a problem. Small growers aren't subject to quality checks or pesticide controls like large players. Their inferior leaves get mixed with higher-quality estate tea, spoiling the total pool.
As a result, auctions are drowning. In Kolkata, Guwahati, and Siliguri, prices fell ₹32-74/kg from mid-2025, with 30% of tea going unsold. Kavi Seth, chairman of J. Thomas, India's largest auctioneer, blamed "the mushrooming of small growers in the past two decades."
Now, falling prices would be manageable if costs were stable. They're not. Fertilizer prices have increased. Wages have risen 8-9%. Energy costs are climbing—tea processing requires massive amounts of firewood, coal, or gas. Irrigation costs have surged after climate shocks made rainfall unreliable.
The crisis is affecting companies unevenly. Plantation companies are in survival mode. McLeod Russel's net profit fell 53% in 2023 and had to restructure debt. Goodricke has sold estates in Assam, is converting some into hotels, and diversifying into milk and vegetables.
Branded tea companies like Tata Consumer and HUL are in a different position. They buy tea at auction and package it. Tata slashed retail prices 10-15%, achieving double-digit growth, though two-thirds of their 2.5% margin decline came from tea costs. Tata Consumer Q1 FY26 transcript
HUL cut prices 5-15% but held margins steadier at ~22%. Many are calling for urgent intervention—minimum support prices, import controls, subsidies. For chai drinkers, cheaper tea is nice. For estate owners and workers, this is an existential crisis. HUL Q1 FY26 transcript
We cover this and one more interesting story in today's edition of The Daily Brief. Watch on YouTube, read on Substack, or listen on Spotify, Apple Podcasts, or wherever you get your podcasts.

All links here: thedailybrief.zerodha.com/p/is-there-a-p…

• • •

Missing some Tweet in this thread? You can try to force a refresh
 

Keep Current with Markets by Zerodha

Markets by Zerodha Profile picture

Stay in touch and get notified when new unrolls are available from this author!

Read all threads

This Thread may be Removed Anytime!

PDF

Twitter may remove this content at anytime! Save it as PDF for later use!

Try unrolling a thread yourself!

how to unroll video
  1. Follow @ThreadReaderApp to mention us!

  2. From a Twitter thread mention us with a keyword "unroll"
@threadreaderapp unroll

Practice here first or read more on our help page!

More from @zerodhamarkets

Oct 14
India's "growth story" has echoed in boardrooms for decades. But an economic slowdown in recent years has sparked worrying commentary. One thing caught our attention—private capex, the engine of long-term growth, is failing us.

Let's find out why. 🧵👇
When businesses build new factories, set up plants, or invest in new technology, they create jobs, boost demand for raw materials, and set up future production capacity. Government spending helps, but private companies make growth broad-based and self-sustaining.
Here's the paradox. Private investment is touching new highs in absolute terms, yet as a share of GDP it remains historically low. Even the Finance Ministry has flagged that weak private investment could "restrict acceleration in economic momentum."
Read 19 tweets
Oct 9
What does it take to build a global financial hub from scratch?
India’s been trying to do exactly that with GIFT City, its answer to Singapore and Dubai.

But building a financial hub is one of the hardest things to get right. Let’s see why.🧵👇
India just launched a Foreign Currency Settlement System at GIFT City, allowing dollar transactions without routing through overseas banks. But here's what's fascinating, in 2015, Gujarat's finance minister claimed GIFT would be among world's top 5 financial centers. Source:https://newsarenaindia.com/nation/gift-city-emerges-as-india-s-first-global-finance-hub/58035
Ten years later, reality hits different. By evening, GIFT City empties out of its 28,000 workers. Nobody wants to actually live there. This puts a hard ceiling on its global ambitions, and the story reveals just how extraordinarily difficult it is to build a financial hub.
Read 22 tweets
Oct 3
Microfinance in India has this pattern, it runs too hot, then too cold. After the pandemic, lenders went on a spree as money was cheap and demand was high. But maybe too cheap, borrowers took 5-6 loans from different lenders all at once.🧵👇
By late 2023, repayment troubles started bubbling up. What followed was a familiar downcycle. By early 2024, stress was everywhere. Micro-loan growth, which had been roaring, suddenly hit the brakes.
The industry's gross loan portfolio shrank from ₹4.3 lakh crore in March 2024 to ₹3.5 lakh crore by June 2025, as lenders pulled back to contain damage. In a year, microfinance went from boom to bust, a story all too familiar.
Read 23 tweets
Oct 1
Your morning coffee, your smartphone, even the steel in your car, they all traveled by ship. 90% of everything we touch moves by sea, yet nobody talks about who builds these ships. China quietly captured 53% of this market, and India just bet ₹69,725 crore to catch up 🧵👇
Ships are the unsung plumbers of global commerce. Without them, iron ore doesn't reach steel mills, oil doesn't reach refineries, and your electronics don't reach your doorstep. China now builds 53% of the world's ships, rising from third to first place in just a decade.
India is finally waking up to this opportunity. The government just approved a massive ₹69,725 crore package to revitalize our shipbuilding sector. That's a serious push in an industry that rarely makes headlines, but arguably matters more than most.
Read 21 tweets
Sep 30
After a decade of playing cat-and-mouse with Amazon, India just blinked. A new draft proposal could let e-commerce platforms directly buy from Indian sellers and export them, something currently prohibited. This is the first major liberalization in years, and it's stirring both hope and outrage.🧵👇
India has always been suspicious of foreign-owned e-commerce platforms. We prohibited them from holding inventory or selling directly to consumers, either at home or abroad. They had to operate as mere marketplaces, strictly middlemen connecting independent sellers to buyers.
Of course, that isn't what really happened. These companies found loopholes, building complex ownership structures that let them sell goods on their own platform. The relationship with government became antagonistic, with regulators constantly pushing back as small retailers lobbied furiously.
Read 23 tweets
Sep 21
We sat down with @ishmohit1 (@soicfinance) to decode the $45B GLP-1 revolution, why people on these drugs hate food, how Novo bought a bottleneck, and what India should watch.

This thread unpacks everything, from the physiology to the supply chain to the investment plays 🧵
GLP-1 drugs mimic a natural hormone that makes you feel full and supports insulin release, you eat less, see better glucose control.

"There's a magic pill vibe, but that's an oversimplification." Benefits cascade, weight loss, improved cholesterol, kidney endpoints.
But they're not magic, they're a physiological nudge that compounds over daily choices. The obvious question, is there a catch? Yes, mostly tolerability and how people change their habits on the drug.
Read 25 tweets

Did Thread Reader help you today?

Support us! We are indie developers!


This site is made by just two indie developers on a laptop doing marketing, support and development! Read more about the story.

Become a Premium Member ($3/month or $30/year) and get exclusive features!

Become Premium

Don't want to be a Premium member but still want to support us?

Make a small donation by buying us coffee ($5) or help with server cost ($10)

Donate via Paypal

Or Donate anonymously using crypto!

Ethereum

0xfe58350B80634f60Fa6Dc149a72b4DFbc17D341E copy

Bitcoin

3ATGMxNzCUFzxpMCHL5sWSt4DVtS8UqXpi copy

Thank you for your support!

Follow Us!

:(