O furacão #Ida deve atingir o continente como um grande furacão de categoria 4 no domingo. Todos os voos do Aeroporto Internacional Louis Armstrong, em New Orleans, estado da #Louisiana foram cancelados. (WDSU)

Furacão #Ida: Aeroporto de #NewOrleans passou o sábado lotado de passageiros buscando fugir do estado. O furacão deve atingir o estado da #Louisiana como categoria 4.

Furacão #Ida: Movimento nas rodovias do estados da #Louisiana é extremamente intenso; motoristas saem do estado faltando poucas horas para a chegada do furacão.

Furacão #Ida: Veículos ao longo da I-10 West completamente paralisados ​​por várias milhas enquanto várias áreas da #Louisiana estão sob ordem de evacuação. Ida deve chegar no estado domingo à tarde.

Furacão #Ida: Os residentes do condado de Lafitte estão fazendo os preparativos finais antes da chegada do Ida. Esta área está sob ordem de evacuação obrigatória. Este é um dos furacões mais fortes que atingiram a Louisiana desde a década de 1850.

O furacão #Ida visto a partir da Estação Espacial Internacional. — NASA
Furacão #Ida: Autoridades determinam o fechamento da enorme comporta contra inundação na tentativa de proteger o condado de St Bernard, na #Louisiana
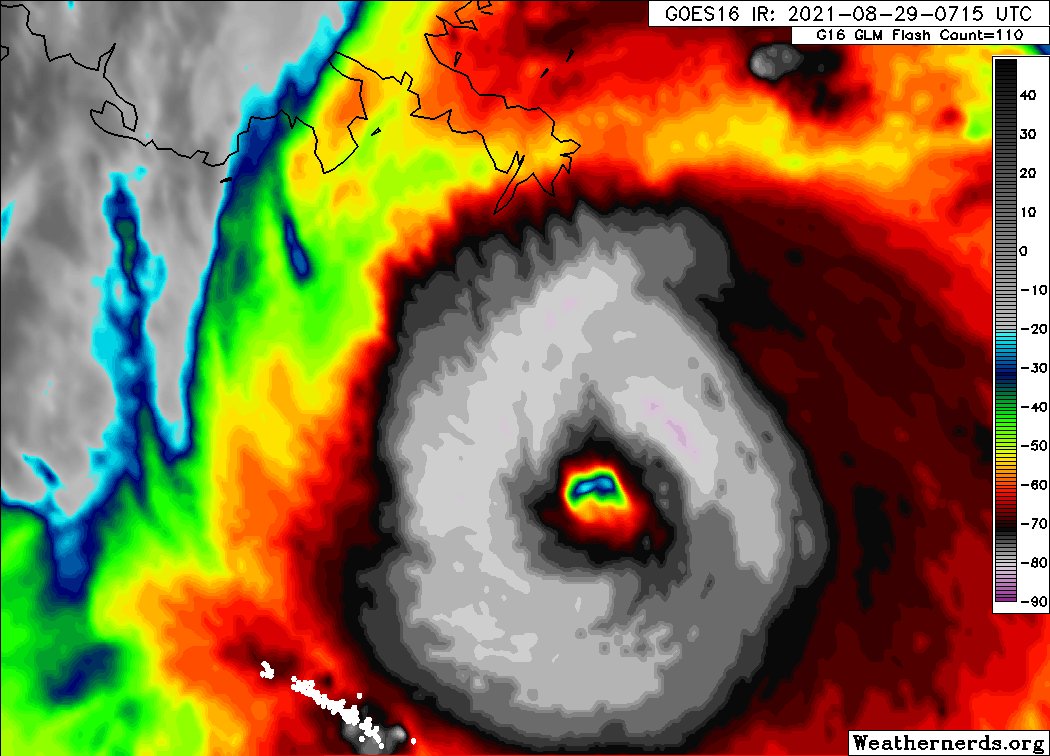
Furacão #Ida: Às 22h de sábado, o Ida era um forte furacão de categoria 2 com ventos máximos de 105 mph, a menos de 150 milhas da Costa do Golfo. O furacão se intensificará da noite para o domingo, com previsão de alcançar a categoria 4.

FURACÃO #IDA: Dados da aeronave Hurricane Hunter da Força Aérea dos EUA indicam que o Ida continua a se intensificar rapidamente na manhã deste domingo sendo reclassificado como furacão de CATEGORIA 4, com ventos máximos de 140 mph.

FURACÃO #IDA:

CENTRO NACIONAL DE FURACÕES

“Existe a possibilidade de se tornar impossível viver ao longo da costa [da Louisiana] por algum tempo e as áreas ao redor de Nova Orleans e Baton Rouge podem ficar sem energia por semanas”.

A pressão do Furacão #Ida caiu para 935 hPa. Apenas dois furacões atingiram a costa da Louisiana com uma pressão tão baixa: Katrina (2005, 920 hPa) e Last Island (1856, 934 hPa). Pressão mais baixa equivale a um furacão mais forte.
(@philklotzbach)
FURACÃO #IDA:

Os portos do sul da Louisiana ao Mississippi foram fechados na manhã de domingo, enquanto o furacão Ida corria em direção à costa do Golfo dos EUA como uma tempestade de categoria 4 extremamente perigosa.
IMPACTO NO PETRÓLEO

LOOP, o maior terminal de petróleo privado de propriedade dos Estados Unidos, também interrompeu suas operações.

O terminal do LOOP está localizado em águas abertas do Golfo do México dos EUA, a cerca de 18 milhas (29 km) da costa da Louisiana
FURACÃO IDA: Ventos fortes já são registrados no centro de New Orleans, #Louisiana enquanto Ida, com ventos de 150 mph (240 km/p), se aproxima cada vez mais da costa.
FURACÃO IDA

URGENTE: Central do 911 (Polícia/Bombeiro/Ambulância) da cidade de New Orleans, #Louisiana, sofre apagão, segundo relatos.
FURACÃO IDA: Situação começa a deteriorar rapidamente em Grand Isle, #Louisiana, com a chegada do furacão de categoria 4 ao estado.

FURACÃO IDA: Tempestade de categoria 4 toca oficialmente o solo da Louisiana com ventos de 240 km/h.

FURACÃO IDA: Tempestade já causa estragos em Grand Isle, #Louisiana, ao tocar oficialmente o estado.

FURACÃO IDA: Imagens mostram alagamento e ventos fortes em Port Fourchon, #Louisiana, no momento da chegada da tempestade.
FURACÃO IDA: Nível do mar sobe e começa a invadir a cidade de Gulfport, #Mississippi, estado vizinho da #Louisiana.

FURACÃO IDA: Água invade a cidade de Leeville, #Louisiana.
FURACÃO IDA: Imagens feitas sobre o olho do furacão Ida a bordo do Hurricane Hunter, da Força Aérea dos EUA.
FURACÃO IDA:

Grand Isle, #Louisiana

FURACÃO IDA:

Primeiras imagens dos danos no centro de New Orleans, #Louisiana

FURACÃO IDA:

Houma, #Louisiana

FURACÃO IDA:

Houma, #Louisiana

FURACÃO IDA:

Houma, #Louisiana
FURACÃO IDA:

Antes e Depois em vários pontos do condado de St. Bernard, #Louisiana,
FURACÃO IDA:

Telhado de prédio é totalmente arrancado em Houma, Louisiana, pela força dos ventos do furacão Ida, que ainda sustenta a categoria 4 mesmo após alcançar o solo há algumas horas.
FURACÃO IDA:

Em Morgan City, Louisiana, furacão Ida derruba árvore e “descola” grama do solo.
FURACÃO IDA:

Duas embarcações colidem em St. Rose, Louisiana, com a força dos ventos do furacão Ida, ainda uma tempestade de categoria 4.
FURACÃO IDA:

Morador de Golden Meadow, Louisiana, filma da janela de sua casa o momento exato em que o Furacão Ida passa por sua cidade.
FURACÃO IDA:

Região de Venetian Isles, na cidade de New Orleans, totalmente inundada em decorrência do Furacão Ida, agora uma tempestade de categoria 3.
FURACÃO IDA:

A fúria da tempestade na cidade de Fort Fourchon, Louisiana.
FURACÃO IDA:

LaPlace, Louisiana.
FURACÃO IDA:

Port Fourchon, Louisiana
FURACÃO IDA:

Todo o condado de New Orleans, Louisiana, está sem energia elétrica.

Companhia elétrica relata "dano catastrófico" em uma linha de transmissão principal, resultando em uma paralisação massiva.

As estimativas sugerem que o reparo do sistema pode levar semanas.
FURACÃO IDA:

Imagens feitas com drone mostram a destruição em edifícios residenciais na cidade de Lockport, Louisiana, após a passagem do furacão.

• • •

Missing some Tweet in this thread? You can try to force a refresh
 

Keep Current with Direto da América

Direto da América Profile picture

Stay in touch and get notified when new unrolls are available from this author!

Read all threads

This Thread may be Removed Anytime!

PDF

Twitter may remove this content at anytime! Save it as PDF for later use!

Try unrolling a thread yourself!

how to unroll video
  1. Follow @ThreadReaderApp to mention us!

  2. From a Twitter thread mention us with a keyword "unroll"
@threadreaderapp unroll

Practice here first or read more on our help page!

More from @DiretoDaAmerica

10 Sep
ÚLTIMA :: O jornal The New York Times diz que o ataque de drone em que administração Biden disse ter matado terroristas do ISIS na verdade matou um trabalhador humanitário e 10 civis afegãos, incluindo crianças.

— NEW YORK TIMES
Imagens do NYT sugerem que um funcionário de um grupo humanitário dos EUA estava na verdade carregando contêineres de água em um carro para sua casa.

news.yahoo.com/video-shows-la…
NYT: Militares disseram acreditar que o Corolla branco de Zemari Ahmadi, rastreado por drone por oito horas, estava cheio de explosivos. O vídeo da câmera de segurança obtido pelo NYT mostrou que ele carregava recipientes com água para sua casa.

Read 18 tweets
10 Sep
Estados reagem contra ordens de Joe Biden obrigando empresas a exigir vacinação ou testagem semanal de funcionários, além de outras medidas anunciadas hoje pelo presidente como a compensação salarial a professores que descumprirem ordens estaduais sobre máscara em crianças.
GEORGIA - O governador da Geórgia, Brian Kemp, diz que buscará todas as opções legais disponíveis para interromper as determinações de Biden.
OKLAHOMA - O governador de Oklahoma, Kevin Stitt, diz que, enquanto for governador, não haverá mandatos de vacinas do governo [federal] no estado.
Read 17 tweets
9 Sep
#ALERTA :: China ameaça enviar navios de guerra para "bases militares dos EUA na Ásia e na região costeira dos aliados dos EUA para operações de reconhecimento."

"Os EUA definitivamente verão o PLA aparecer em sua porta em um futuro não muito distante.", diz o PCCh.
As declarações do regime comunista podem ser lidas no site do jornal controlado pelo Partido Comunista Chinês ‘Global Times’ globaltimes.cn/page/202109/12…
“Comportamento da China contrasta com adesão dos EUA à lei internacional e nossa visão do Indo-Pacífico livre e aberto. Todas nações, grandes e pequenas, devem estar seguras em sua soberania, livres de coerção e capazes de buscar crescimento econômico”

— Chefe Info. Marinha EUA
Read 7 tweets
8 Sep
A CNN passou a maior parte do últimos três meses com menos de 1 milhão de telespectadores, marcando baixas históricas para a rede, apesar de todos acontecimentos de junho a agosto.

— NIELSEN
Ao longo de 92 dias, a CNN não conseguiu atingir 1 milhão de telespectadores em 53 deles, cerca de 58% do verão americano. A rede teve uma média de apenas 603 mil telespectadores por dia, uma redução impressionante de 42% em relação ao mesmo período de 2020.
A programação do horário nobre da CNN, com a programação mais assistida da rede, contou com menos de 1 milhão de telespectadores em 80 dos 92 dias monitorados, uma queda devastadora de 87% do tempo e uma queda de mais de 50% em relação ao ano passado.
Read 5 tweets
8 Sep
A comissão federal que define os padrões para as urnas americanas (FEC) fez uma grande mudança sem chamar atenção, no começo do ano: daqui para frente, os sistemas de votação dos estados devem manter os dispositivos de conectividade das urnas (cabo e wireless) desabilitados.
As ‘Diretrizes do Sistema de Eleitores Voluntários 2.0’ da Comissão de Assistência Eleitoral (EAC) da FEC foram lançadas no início deste ano sem alarde e cobertura da mídia americana.
"O DSEV 2.0 não permite que dispositivos ou componentes usando conexões de rede externas façam parte do sistema de votação", escreveu a comissão em suas novas diretrizes, que podem ser lidas na íntegra aqui: eac.gov/sites/default/…
Read 5 tweets
8 Sep
Como parte das relações amigáveis ​​entre Pequim e Taliban no Afeganistão, a China considera novas maneiras de expandir sua influência no país e em todo Oriente Médio; um dos projetos do regime comunista é o de ocupar a base militar americana de Bagram, no Afeganistão.
A China está considerando enviar militares e oficiais de desenvolvimento econômico da ditadura comunista para a base aérea de Bagram, talvez o símbolo mais proeminente da presença militar dos EUA no Afeganistão há 20 anos.
Além de expandir sua influência regional, o plano potencial de Pequim para Bagram também representaria um golpe devastador para a imagem dos EUA, que cada vez mais considera a China sua ameaça global mais urgente e desafiadora, diz Paul D Shinkman no U.S. News.
Read 4 tweets

Did Thread Reader help you today?

Support us! We are indie developers!


This site is made by just two indie developers on a laptop doing marketing, support and development! Read more about the story.

Become a Premium Member ($3/month or $30/year) and get exclusive features!

Become Premium

Too expensive? Make a small donation by buying us coffee ($5) or help with server cost ($10)

Donate via Paypal Become our Patreon

Thank you for your support!

Follow Us on Twitter!

:(