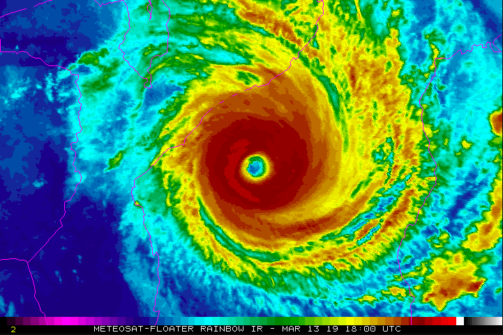
-- Cyclone Idai, maybe the worst cyclone of the southern hemisphere, has devastated areas of Mozambique, Zimbabwe, and Malawi. If you'd like to donate, I recommend Doctors Without Borders doctorswithoutborders.org/what-we-do/new…
-- Challenge old ways of thinking
-- Climate change is affecting all of us right now, some much more than others, and its effects will only get worse. We need action now to help all of us
-- And as always, impeach the motherfucker


